皇冠信用网如何申请_上海明后天将有大暴雨,或为1981年以来11月最大降雨
皇冠信用网在线注册(输入9990088.com)皇冠_官方信用网线上直营平台,皇冠信用网代理帐号申请、信用网会员注册受今年第21号台风“康妮”外围环流和冷空气共同影响,31日傍晚到11月1日,上海市有大暴雨,过程雨量120~180毫米,东南部可达220~280毫米,最大小时雨强40~70毫米,降水具有极端性,有可能成为1981年以来11月最大降水过程;31日夜里起风力逐渐增大,11月1日最大陆地阵风8~9级,洋山港区阵风10~11级皇冠信用网如何申请。
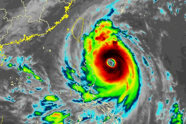
台风“康妮”动态:加强为超强台风皇冠信用网如何申请,逐渐向台湾岛靠近

今年第21号台风“康妮”,今天早晨增强为超强台风,11时其中心位于距离台湾省台东市东南约520公里的太平洋洋面上,中心附近最大风力有17级,中心最低气压为925百帕,七级风圈半径380~480公里皇冠信用网如何申请。
预计“康妮”将以每小时15~20公里的速度向西北方向移动,强度还将有所增强,将于31日中午到下午在台湾岛南部或中部登陆,尔后沿浙闽沿海一带近海北上(也可能在上述沿海地区登陆或擦过),强度迅速减弱皇冠信用网如何申请。

台风外围联手冷空气皇冠信用网如何申请,周四傍晚至周五大暴雨

展开全文
降水预报:注意防范大暴雨
受“康妮”外围环流和冷空气共同影响,10月31日下午起上海市将出现阵雨天气,傍晚开始雨势增强,强降水将持续到2日凌晨,降水集中时段出现在31日半夜至11月1日白天皇冠信用网如何申请。过程累积雨量大暴雨(120~180毫米),上海市东南部地区雨量更显著(局部可达220~280毫米),可能成为上海市1981年以来11月最大降水过程。
注意防范大风
31日夜里起上海市风力逐渐增大,11月1日最大陆地阵风8~9级,高层建筑及沿江沿海地区阵风9~10级,洋山港区阵风10~11级,2日下午风力逐渐减弱皇冠信用网如何申请。
天气提示
台风影响前可适量储备饮用水和食物皇冠信用网如何申请。台风影响期间尽量减少外出。
防范大风皇冠信用网如何申请。妥善收起室外物品,防止高空坠物。不要在临时建筑物附近躲避风雨,车辆停靠远离大树等。
此次过程具有极端性,强降水可能造成局部积水,如在户外注意不要轻易涉水皇冠信用网如何申请。
“康妮”影响期间正值天文大潮期,注意提防风暴增水影响,低洼处有需注意防范皇冠信用网如何申请。
此次过程对交通有较大影响,注意及时了解出行信息皇冠信用网如何申请。
注意及时了解预报预警信息皇冠信用网如何申请。
后期天气趋势:下周冷空气影响皇冠信用网如何申请,气温进一步下降
明天上海逐渐受到“康妮”外围影响,云系增多,下午开始转雨,全天气温在18~23℃之间皇冠信用网如何申请。明天夜间到周五降雨明显,同时风力增大。降雨和冷空气影响,周五和周六气温下降,最高气温仅20℃。周日上海天气恢复平静。下周还有一次冷空气过程,上海以多云天气为主,气温进一步下降。

猜你喜欢
- 2026-03-12皇冠信用网开户 _伊朗新领导人再遭“斩首”,11架战轰参战,伊朗以牙还牙,要对美方进行最后清算?
- 2026-03-10皇冠信用怎么租_泽连斯基出尔反尔,匈牙利总理放话:拒绝一切勒索,将在这件事上击败乌克兰!
- 2026-03-09皇冠信用在线开户_普京发声:尾巴摇狗,非常诡异
- 2026-03-08怎么开通皇冠信用开户_中超-米特里策传射赵博扑点李昊神扑 浙江队2-0西海岸
- 2026-03-08世界杯皇冠足球平台_特朗普提出“中美共治”框架,中方是否接受?王毅回应
- 2026-03-04皇冠信用盘会员开户 _实锤了!伊朗拿出卫星图,证实美军反导被轰炸,战术导弹都拦不住了
- 2026-03-02如何代理皇冠信用盘 _男子恋爱6年花费100万,见家长前一天被拉黑!女方母亲: 她早已结婚,俩孩子都上初中
- 2026-02-27如何申请到皇冠信用_高瓴系减持格力套现42亿元,陪跑6年,赔了还是赚了?
- 2026-02-26皇冠信用平台出租出售_气炸了!凯利被直红罚下,下场后怒踹墙壁后走进通道
- 2026-02-23皇冠信用网如何申请_谷爱凌泪洒发布会,夺冠后得知奶奶离世!最后一次见面时,她告诉奶奶:我会和你一样勇敢
- 2026-02-22皇冠信用网正版_暴雪蓝色预警:内蒙古陕西等地有大雪 黑龙江西北部局地暴雪
- 2026-02-21皇冠信用网会员申请网址_河南平顶山夫妻当街殴打15岁女孩,官方通报:因电动二轮车碰撞引发口角,打人者刘某飞、韩某娜被采取刑事强制措施,案件正在进一步办理中


网友评论